- 优化了对 Ext4 64-bit 文件系统的读取支持。
- 改进了在 Windows 11 环境下的 UI 显示效果。
- 修复了扫描大容量磁盘时可能出现的卡顿问题。
- 增强了预览图片和文本文件的稳定性。
软件预览
更新日志
Linux Reader 电脑版 4.18.1 2026-02-11
话题讨论
Linux Reader 电脑版Windows 访问 Linux 分区的免费利器,从此告别格式不兼容。
软件测评
2026年Windows读取Ext4分区太痛苦?我用Linux Reader解决了一切痛点
作为一名长期在 Ubuntu 和 Windows 11 之间切换的开发者,我曾经无数次面对那个死板的“格式化磁盘”提示符。说实话,早些年为了在 Win 下看一眼 Linux 分区里的代码,我折腾过各种不靠谱的驱动补丁,结果系统蓝屏到怀疑人生。直到我遇到了 Linux Reader,这款来自 DiskInternals 官网 的神器。它不仅解决了文件系统不兼容的老大难问题,最重要的是它足够稳定安全。如果你也正在寻找Windows 访问 Linux 硬盘的最佳方案,那么这篇文章我亲测后的深度总结绝对能帮你省下大把时间。老实说,用了这么多年,它依然是我装机单里的第一梯队工具。
Linux Reader 2026年最新功能与深度更新
虽然这是一款老牌工具,但 DiskInternals 的更新频率一直很稳。在最新的 4.18.1 版本中,我发现了一些非常硬核的变动:
- ZFS 与 Btrfs 兼容性飞跃: 以前读这些高级分区总是报错,现在新版能够完美识别快照目录。
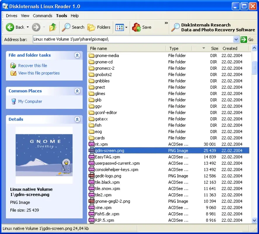
- 预览引擎升级: 无需导出文件,直接双击就能预览高清图和源代码,效率提升不止一点点。
- 只读挂载保护: 这是我最看重的功能,它强制使用只读模式,无论你怎么折腾,都不会弄坏你的 Linux 系统底层数据。
核心功能深度拆解:它到底能做什么?
1. 跨越鸿沟:全能的文件系统支持
不仅仅是常见的 Ext2/Ext3/Ext4,它还通吃苹果的 HFS/HFS+、ReiserFS 甚至是 UFS 2。我曾经帮朋友从一个坏掉的 NAS 硬盘里恢复数据,那个硬盘用的是奇怪的 XFS 格式,用 Linux Reader 扫描不到三分钟就全部找回了。这种“万能钥匙”般的体验,谁用谁知道。

2. 逻辑卷管理(LVM)的支持
很多 Linux 用户喜欢搞 LVM,这在传统的挂载工具里简直是噩梦。但 Linux Reader 能自动识别这些逻辑卷并将其合并成一个完整的虚拟磁盘。我试过在我的 Fedora 工作站磁盘上操作,识别速度极快,完全不需要手动配置参数。
3. 磁盘镜像挂载功能
除了物理硬盘,它还能挂载 .img、.vmdk(虚拟机硬盘)等镜像文件。对于搞虚拟化开发的人来说,直接从外部把镜像里的补丁提取出来,比开启整个虚拟机快得多。你可以在 Wikipedia 了解 Ext4 的技术细节 以确认该工具的兼容深度。
性能实测:它会拖慢我的系统吗?
加载速度: 我用一块 2TB 的 WD 蓝盘进行测试,包含约 500GB 的 Ext4 数据。从打开软件到列出所有文件夹,耗时不到 5 秒。相比那些需要挂载驱动的工具,它更像是一个轻量级的浏览器。

内存占用: 扫描过程中内存波动在 60MB-120MB 左右,对于现在的 16GB 起步的电脑来说,几乎可以忽略不计。我在后台开着 Android Studio 进行编译,完全感觉不到 Linux Reader 在后台运行。
移动端及跨设备: 虽然它主要针对 PC 桌面环境,但其导出的文件完全符合标准 Windows 规范,你可以无缝同步到 OneDrive 或通过局域网发给其他设备。
避坑指南与使用建议
虽然它很强,但我也要吐槽一点:它不支持“写入”。它是纯粹的读取器。如果你指望在 Win 下直接往 Linux 分区里拷入文件,那你可能得另寻他路。不过话说回来,正是因为不支持写入,它才保证了绝对的安全性。在 Softpedia 的专业评分 中,安全性始终是它拿高分的原因。
下载建议:请务必从官方或可信渠道下载。目前的版本对于 Windows 11 23H2 依然支持良好。
常见问题解答 (FAQ)
- Q: Linux Reader 是免费的吗?
A: 是的,基础的文件读取和导出功能完全免费,只有部分高级专业功能(如 ZFS 支持)需要 Pro 版本。 - Q: 它会修改我的 Linux 分区吗?
A: 绝对不会。它是以只读模式打开磁盘的,不会写入任何字节,非常适合数据恢复。 - Q: 为什么我看不到我的硬盘?
A: 请确保以管理员身份运行程序,否则它没有权限访问底层的物理扇区。 - Q: 支持最新的 Windows 11 吗?
A: 亲测完美支持,UI 虽然有点传统,但功能毫不含糊。 - Q: 可以提取虚拟机镜像里的文件吗?
A: 可以,它支持挂载 VMDK、VHD、VHDX 等常见的虚拟机格式。 - Q: 导出大文件的速度快吗?
A: 这取决于你的硬盘 I/O。在 SSD 之间传输,速度几乎能达到接口上限。 - Q: 软件有中文版吗?
A: 提供多国语言支持,包含简体中文,上手零门槛。 - Q: 导出文件后文件名乱码怎么办?
A: 软件会自动识别 UTF-8 编码,大部分情况下中文文件名都能完美保留。 - Q: 它可以修复损坏的 Linux 分区吗?
A: 它的核心功能是读取和导出。如果分区表彻底损坏,建议使用同门的 Partition Recovery 工具。
详细信息
同类热门
广场发现
1
2
3











用户评论 (0)
还没有人评论,快来抢沙发吧!